
2010. augusztus 04., 11:112010. augusztus 04., 11:11
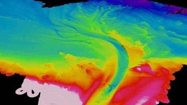
Ugyanakkor a beszámolók szerint – akár a földfelszíni folyókon – vízesések is találhatók a folyam mentén. A jelenséget a kutatók szerint az okozza, hogy ezen a ponton zúdul be a Földközi-tenger sokkalta nagyobb sótartalmú vize a viszonylag édesvizű Fekete-tengerbe.
A tengermélyi folyam vízhozama a becslések szerint meghaladja a 22 ezer köbmétert. Ezzel a mutatóval az Amazonas, a Nílus és társai után hatodik helyet foglalná el ez az újonnan felfedezett vízfolyás, ha a földfelszínen volna, a kutatók szerint például a Temzénél 350-szer nagyobb hozamú folyóról van szó. „Ezek a tenger alatti folyók igen fontosak, hiszen ezek az óceánok alatti élet úgynevezett ütőerei” – nyilatkozta az egyik kutató, Dan Parsons, aki ugyanakkor arról is beszámolt, hogy ez a Föld egyetlen ma is aktív tengermélyi folyama.
Ami kinevethető, az már nem teljesen félelmetes – a tréfálkozás azért is „kötelező” az év végén, szilveszterkor, mert a közösség ezzel jelzi: nem visszük át változatlanul a régi terheket az új évbe.
A látogatók által az állatok ketrecébe bedobott műanyagcsomagolás okozta egy fehér tigriskölyök halálát a dél-romániai Craiova állatkertjében – számolt be kedden a News.ro román hírportál.
Az ünnepek után sok háztartásban hasonló a kép: a hűtő zsúfolt, a dobozok egymásra tornyozva őrzik a karácsony bőségének emlékét, miközben egyre sürgetőbb a kérdés: mi legyen a maradékkal? A válasz szerencsére nem föltétlenül a kidobás.
Drámai mértékben megugrott a halálos medvetámadások száma Japánban, ezért a hatóságok egyre több veszélyesnek ítélt vadállatot lőhetnek ki. Az elejtett nagyragadozók húsát pedig főként grillezve fogyasztják a vendégek az éttermekben.
Köztudott tény, hogy ünnepek alatt általában bőségesebben esznek-isznak az emberek, mint a hétköznapokban: több édességet, alkoholos italt, zsíros, fűszeres ételt fogyasztanak.
Karácsonyfát, legót, könyvet, kortársaik körében divatos számítógépes játékokat is kértek a lövétei kisdiákok idén az Angyaltól. A gyerekek a Krónikának arról is beszéltek, mit jelent számukra a karácsony az ajándékokon túl.
Különleges újévi koncerttel indul a zenei év Kolozsváron: a Magyar Örökség díjas 100 Tagú Cigányzenekar lép fel a zeneakadémia nemrég átadott nagytermében. Az est sokszínű műsorral és rangos vendégművészekkel ígér emlékezetes zenei élményt.
Padlón az IQ-nk: Románia európai utolsó az általános intelligenciahányadost tekintve a World Poulation Review nemzetközi adatgyűjtő portál IQ-teszteket összesítő rangsorában.
Nyolcszáz hátrányos helyzetű magyarországi és határon túli gyereket látott vendégül Budapesten, a Parlamentben az Országgyűlés Hivatala és a Nemzetközi Gyermekmentő Szolgálat (NGYSZ) szombaton.
Életét vesztette egy román alpinista egy expedíció során a chilei Ojos del Salado tűzhányón, amely a világ legmagasabb aktív vulkánja. A chilei csendőrség speciális egységei rendkívül nehezen megközelíthető helyről próbálják meg kiemelni a holttestet.